What's new

Florida Panhandle & Tallahassee

Western Lake & Grayton Beach State Park

Our third day at the WaterColor Inn was one of relaxation - Susan was in our room in the morning while I took a 2+ mile walk along HW 30A (blue arrow on first image below), which provided superb views of Western Lake (second image from the web - did not take my camera) - this is part of Grayton Beach State Park, which offers a wide variety of activities (check the link) - we did not visit the park (too many things to do!), but the remaining images are from the web.

We had another light lunch, relaxed by the adult pool (which was VERY quiet - AHH!), walked on the beach, and then had a sushi dinner at the bar restaurant - a delightful day (and quite relaxing for Susan - she always complains that I drag her to battlefields, forts, or historic houses - but I pled innocence) - ;) Dave
.
View attachment 71845 View attachment 71846 View attachment 71847 View attachment 71848 View attachment 71849 View attachment 71850
He does drag me to many (too many??) forts, battlefields, state capitols, and historic houses. He is an avid history buff and can actually picture the soldiers, house owners, congressmen, etc. I, on the other hand, think that they all blur into one another. Seen one cannon, seen ‘em all. ;)
 
A lovely afternoon, charming Southern gardens. Re. the photo Dave took of me: I look much thinner when I sit up straight!

Well, the one exception was back in 1973 when she was carrying our son, Stephen - third trimester pic below (and approved by Susan) - and at the end of that year (he was born in August), a pic of me w/ our son - BOY, I was 27 y/o then and much of my hair has disappeared and the remainder is gray! :) Dave
.
IMG_0019.webp
IMG_0044.webp
 
Museum of Florida History

The Museum of Florida History is just a few blocks from the new state capitol (see previous maps & aerial views) - this museum like many others that I have visited is in chronological order starting w/ pre-history, covering the Native Americans, and going into post-Columbian times; then into a timely coverage of the American Revolution, statehood, Civil War, and the subsequent historic events.

A short but excellent video offers a good introduction - exhibits are varied from dioramas to full scale real/restored/reproduction objects. An excellent museum and a MUST visit in in the capital - pics below just a brief sampling - we spent a few hours, but worth a half day - highly recommended! Dave :)
.
FLMH_1.webp
FLMH_2.webp
FLMH_3.webp
FLMH_4.webp
FLMH_5.webp
FLMH_6.webp
FLMH_7.webp
FLMH_8.webp
 
Hi again Ski.... - Panama City Beach must have been a lot more 'laid back' and much less developed back then, and probably a more relaxing place to be - post some of your pics if you can find and scan any, if you like?

We did pass a number of piers, did not visit any, but your comments piqued my interest, so just a little more information. The two (of 4) most prominent piers are the Russell-Fields Pier & M.B. Miller Pier - the newest concrete ones constructed in 2009 & 2010 - assume that Ski.... was on the older wooden ones? Quoted below from the link given a general description of the piers and a more descriptive one of the M.B. Miller Pier; also a few pics of each pier - the fishing must be great at the ends of these long walkways. Dave :)




.
View attachment 71939 View attachment 71940

That's interesting about the development of the piers. I cannot remember if it was wood or concrete back than, but based on the dates 1990's my guess it was wood. My dad and brother in law would fish quite a bit off the Pier and would also charter fish. Pier fishing was really good-catching red snapper, flounder and pompano. My dad also tried his had at crabbing, but no luck. I remember going down there during spring break once-it was jammed. Very popular with high schoolers and also with MTV!

When I get a chance to get over to my folks I will look for some pics to scan in. Thanks Dave for the drive down memory lane! [emoji4]
 
That's interesting about the development of the piers. I cannot remember if it was wood or concrete back than, but based on the dates 1990's my guess it was wood. My dad and brother in law would fish quite a bit off the Pier and would also charter fish. Pier fishing was really good-catching red snapper, flounder and pompano. My dad also tried his had at crabbing, but no luck.

Concerning the M.B. Miller Pier - appears that the old pier was also concrete but only 470 ft long vs. the current one @ 1,500 ft (see quote), similar to the current Russell-Fields Pier - not sure about the previous R-F Pier? However, I did find some neat YouTube videos of each pier, the second on the latter pier is more dramatic because a small drone is used to obtain the video. Dave :)

Bay County joined with Panama City Beach to replace the damaged M.B. Miller Pier with one identical to the Russell Pier at Pier Park on the West End of the beach. The old M.B. Miller Pier, a 470-foot long, concrete structure damaged in 2005 by Hurricane Dennis, has been replaced by the new 1,500-foot-long structure designed to better withstand storms. The pier is open 24 hours per day, seven days per week.


 
Pier Fishing in Panama City Beach

In a previous post, some of the fish that could be caught off these Panhandle piers were listed - the pic below is just a composite of a half dozen different types in that list, and I'm sure others may be available, such a Mahi Mahi, Amberjack, & Snapper.

On this trip, I had Cobia, Grouper, Mahi Mahi, Pompano & Snapper - our second night dinner was at Stinky's Fish Camp, about a 10 minute drive from the WaterColor Inn - this place had the largest dinner selection of local fish - the second image below shows their offerings at a different time from our visit - about 5-6 fish were available for us - we shared a dozen Appalachicola Oysters; Susan had the Crawfish Pie, which was delicious; and I had the grilled Red Snapper w/ a shrimp risotto and broccoli rabe - believe for dessert, we shared a blueberry cobbler w/ ice cream. Dave :)
.
Screen Shot 2016-05-30 at 2.51.32 PM.webp
Screen Shot 2016-05-30 at 3.09.51 PM.webp
 
Last edited:
Northwest Florida Airports - Which One to Pick?

Well, I've not added to this thread since the start of the week and see more than 200 additional views - just surprised that no one has 'chimed in' w/ comments, experiences, corrections (hope not!), or recommendations - I'm sure that there are some native Floridians viewing some of my posts?

But, I'm already thinking that Susan & I would like to return to the northwest coastal beaches of Florida, and I was looking at the airport options, which may be useful to others wanting to visit the area w/ a need to fly rather than drive. Quoted below are the 3 larger airports (all are still rather small) that serve the area (Sources are their Wiki articles) - Northwest Florida Beaches & Pensacola Airports are the best options to arrive closer to the coastal destinations; I choose the Tallahassee Airport because I wanted to see the state capital buildings and the state museum - next time, we would fly into one of the other ones (both just a one-stop for us from Greensboro via Atlanta).

Aerial images below of the three airports, again these are relatively small and served by a limited number of carriers - for our trip, we flew on Delta (one plane to Atlanta, under an hour, then one to Tallahassee, just 40 minutes). SO, if others have had experiences w/ these airports that may help others make a selection, then please add a comment or two. Dave :)

P.S. if Pensacola is your destination, then the attractions that I described can not only be enjoyed, but Mobile, Alabama is a short drive on HW 10 w/ many other attractions & some great food (we've been there nearly a half dozen times when Susan's brother practiced psychiatry in Mobile).

Tallahassee International Airport (2 runways; 2 concourses, A & B)
* American Eagle, Delta, Silver Airways (FedEx)
* 275 average daily aircraft operations (51% general aviation)

Northwest Florida Beaches International Airport (1 runway; 2nd one?; 7 gates)
* Delta, Silver Airways, Southwest Airlines, & United Express
* 130 average daily aircraft operations (47% general aviation)

Pensacola International Airport (2 runways; 1 concourse w/ 12 gates)
* American Airlines/Eagle, Delta, Silver Airways, Southwest Airlines, & United Express
* 320 average daily aircraft operations (53% general aviation)
.
TallahasseeAirport.webp
NWFLAirport.webp
PensacolaAirport.webp
NWFLAirportsMap.webp
 
Tropical Storm Colin Hits Panhandle Florida!

Tropical Storm Colin crossed the Panhandle and Tallahassee yesterday - seems like a LOT of rain but no major storm surge - hope that the members who may be from Florida will 'chime in' and provide some personal comments on potential damage? Below are just a few pics of the path of the storm and its relationship to the area we just visited - today, the storm is off the Carolina coast and the Outer Banks of North Carolina may be hit - these are fragile barrier islands that can be easily damaged. Dave :)
.
Screen Shot 2016-06-07 at 10.12.51 AM.webp
Screen Shot 2016-06-07 at 9.00.47 AM.webp
Screen Shot 2016-06-07 at 9.00.06 AM.webp
 
Tropical Storm Colin Hits Panhandle Florida!

Tropical Storm Colin crossed the Panhandle and Tallahassee yesterday - seems like a LOT of rain but no major storm surge - hope that the members who may be from Florida will 'chime in' and provide some personal comments on potential damage? Below are just a few pics of the path of the storm and its relationship to the area we just visited - today, the storm is off the Carolina coast and the Outer Banks of North Carolina may be hit - these are fragile barrier islands that can be easily damaged. Dave :)
.
View attachment 72168 View attachment 72169 View attachment 72170
I hope that those wonderful locations and their residents that you've shown us in this excellent thread were spared too much damage.
 
I hope that those wonderful locations and their residents that you've shown us in this excellent thread were spared too much damage.

My wish too! :( We drove a lot of that FL north Gulf Coast, and many of the commercial and residential buildings were virtually right on the beaches, and any major storm surge could cause serious damage; hopefully, some of our Floridian members who live in the area will respond. Dave :)
 
Hurricane Michael - Cat 4 - Coming Ashore at Panama City on the Florida Panhandle

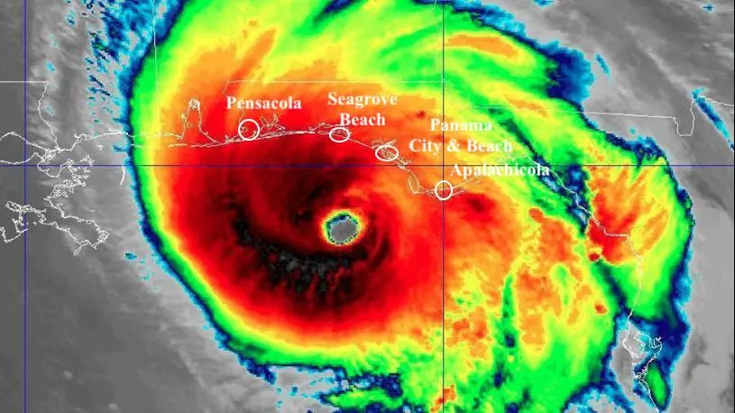
The Florida Panhandle is about to be hit hard w/ a historic Cat 4 hurricane w/ wind speeds possibly to 130+ mph & storm surges up to 12 ft or so in the hardest hit areas - the storm will likely come ashore around Panama City - summary quoted below; first two pics show the eye of the hurricane - on the second image, I've labeled the coastal towns - on our recent trip we toured from Pensacola to Panama Beach and the local state park - did not get to Apalachicola which already has a 4 ft storm surge (the town is less than 20 ft above sea level and could be near completely inundated?).

The remainder of the pics (from the same link below) show the extent of the storm relative to the southeast USA, the predicted storm surge and locations, and finally the projected path of the storm over the next few days - the remnants of the hurricane (likely as a tropical storm or less) will move into the Carolinas - looks like Susan and I will be off the upper edge and likely will get some rain (hopefully not a lot) and wind. We were thinking of returning there next spring, so will await the impact of hurricane - this will be a SAD tremendous loss of property, destruction of those beautiful white sand beaches, but hopefully due to evacuations will not be costly in lives lost. Dave :)

Quick Summary of Michael
  • Michael is expected to make landfall along Florida's northeastern Gulf Coast Wednesday afternoon.
  • A Category 4 or stronger hurricane has never made landfall in the Florida Panhandle.
  • Catastrophic storm surge and destructive winds will occur near the landfall in the Florida Panhandle.
  • Over a million power outages will occur not just near the coast, but also inland after landfall.
  • Rainfall flooding is also a significant threat inland into the Carolinas. (Source)

Hurricane Michael is close to a catastrophic, unprecedented Category 4 strike on the Florida Panhandle and Big Bend with a life-threatening storm surge and over 100 mph winds possible not just near the coast, but also inland that could leave some areas without power for over a week. If Michael makes landfall as a Category 4 storm, as expected, it will be the strongest hurricane to ever come ashore along the Florida Panhandle in records dating to 1851, according to Dr. Phil Klotzbach, tropical scientist at Colorado State University. In fact, Florida's entire Gulf Coast north of Punta Gorda has never recorded a Category 4-plus hurricane landfall. (Source)
.
HMichael1.webp
HMichael2.webp
HMichael3.webp
HMichael4.webp
Screen Shot 2018-10-10 at 11.43.01 AM.webp
 
Hurricane Michael - Cat 4 - Coming Ashore at Panama City on the Florida Panhandle

The Florida Panhandle is about to be hit hard w/ a historic Cat 4 hurricane w/ wind speeds possibly to 130+ mph & storm surges up to 12 ft or so in the hardest hit areas - the storm will likely come ashore around Panama City - summary quoted below; first two pics show the eye of the hurricane - on the second image, I've labeled the coastal towns - on our recent trip we toured from Pensacola to Panama Beach and the local state park - did not get to Apalachicola which already has a 4 ft storm surge (the town is less than 20 ft above sea level and could be near completely inundated?).

The remainder of the pics (from the same link below) show the extent of the storm relative to the southeast USA, the predicted storm surge and locations, and finally the projected path of the storm over the next few days - the remnants of the hurricane (likely as a tropical storm or less) will move into the Carolinas - looks like Susan and I will be off the upper edge and likely will get some rain (hopefully not a lot) and wind. We were thinking of returning there next spring, so will await the impact of hurricane - this will be a SAD tremendous loss of property, destruction of those beautiful white sand beaches, but hopefully due to evacuations will not be costly in lives lost. Dave :)


.
View attachment 83765 View attachment 83766 View attachment 83767 View attachment 83768 View attachment 83769
The Hurricane Season is getting more and more violent. I hate to see our favorite coastal towns battered.
 
My wish too! :( We drove a lot of that FL north Gulf Coast, and many of the commercial and residential buildings were virtually right on the beaches, and any major storm surge could cause serious damage; hopefully, some of our Floridian members who live in the area will respond. Dave :)

We enjoyed that area and had planned to go back in the near future. Hope it survives.
 
Mexico Beach, Florida Devastated by Landfall of Hurricane Michael

Mexico Beach is a small flat coastal town that lies between Panama City and Apalachicola, and was the site of landfall of Hurricane Michael, as described below in the quote - Michael came in as a near Cat 5 storm w/ winds of 155 mph, setting some historic records. First pics below show location of Mexico Beach and its pre-storm appearance, i.e. small, flat (pretty much @ sea level) and extremely vulnerable to storm surge and winds - just found one pic of the damage produced but imagine that most of the town seriously damaged. Dave :)

P.S. I've not visited Mexico Beach but as mentioned we were planning a return trip to the Panama City area and likely would have driven down that coast into Apalachicola.

Hurricane Michael made landfall Wednesday afternoon (Oct. 10) near Mexico Beach, Florida, a small town located on the Florida Panhandle. The storm was a dangerous Category 4 hurricane. In a 1 p.m. Wednesday update, the National Hurricane Center said Michael's winds were measured at around 155 miles per hour, just shy of Category 5 strength. Category 4 storms have sustained winds between 130 and 156 mph. Hurricane Michael is the most powerful storm to hit the Florida Panhandle in recorded history. Its winds are also among the strongest the country has seen for a hurricane at landfall, outpaced only by the Labor Day hurricane in 1935 (185 mph), Hurricane Camille in 1969 (175 mph), and Hurricane Andrew in 1992 (165 mph). (Source)
.
MexicoBeach1.webp
MexicoBeach2.webp
MexicoBeach3.webp
MexicoBeach4.webp
MexicoBeach5.webp
 
Mexico Beach, Florida Devastated by Landfall of Hurricane Michael

Mexico Beach is a small flat coastal town that lies between Panama City and Apalachicola, and was the site of landfall of Hurricane Michael, as described below in the quote - Michael came in as a near Cat 5 storm w/ winds of 155 mph, setting some historic records. First pics below show location of Mexico Beach and its pre-storm appearance, i.e. small, flat (pretty much @ sea level) and extremely vulnerable to storm surge and winds - just found one pic of the damage produced but imagine that most of the town seriously damaged. Dave :)

P.S. I've not visited Mexico Beach but as mentioned we were planning a return trip to the Panama City area and likely would have driven down that coast into Apalachicola.


.
View attachment 83771 View attachment 83772 View attachment 83773 View attachment 83774 View attachment 83775
I imagine some whole neighbourhoods were devastated. I hope there were not too many deaths.
I was online looking for webcams and all the Mexico Beach webcams were offline.
 

Most reactions

Latest posts

Back
Top